Huracán Olaf toca tierra en Los Cabos; advierten que más de medio millón de personas están en riesgo

Por las lluvias que generará, la Coordinación Nacional de Protección Civil estima 490 mil personas en riesgo alto y otras 87 mil en riesgo moderado.

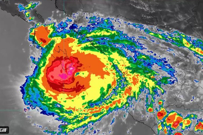
Foto: Conagua.

Redacción / La Voz de Michoacán

Baja California. El ojo del huracán Olaf ha tocado tierra en las inmediaciones de Los Cabos, en Baja California Sur, la noche de este jueves, informó el Servicio Meteorológico Nacional (SMN).

PUBLICIDAD

El Gobierno de México alertó este jueves que hay más de medio millón de personas en riesgo en el noroeste del país ante el impacto del fenómeno meteorológico en esa región.

"Se espera que impacte por la noche de hoy y las primeras horas del viernes como categoría 1, después del impacto, el día viernes continuará afectando la península de Baja California Sur", informó en conferencia Alejandra Méndez, coordinadora del SMN.

Olaf, que primero nació como tormenta el miércoles en el Pacífico, tocó tierra en Baja California Sur, donde presenta vientos máximos sostenidos de 130 kilómetros por hora, rachas de 160 kilómetros por hora y se desplaza hacia el nor-noroeste a 15 kilómetros por hora.

PUBLICIDAD

Por las lluvias que generará, la Coordinación Nacional de Protección Civil estima 490 mil personas en riesgo alto y otras 87 mil en riesgo moderado, además de más de 200 mil viviendas en peligro, casi en su totalidad en la península de Baja California.

También calcula que están en riesgo más de 200 mil viviendas, cerca de mil 150 escuelas y alrededor de 170 centros de salud.

Por ello, el Gobierno ha preparado casi 600 refugios temporales con capacidad conjunta para más de 150 mil personas, informó Luis Alberto Ortega, director del Centro Nacional de Comunicación y Operación de Protección Civil.

"El sistema nacional de Protección Civil se encuentra alerta y atento para atender los posibles efectos que se pudieran derivar del paso de este fenómeno", aseveró.

El SMN prevé "lluvias puntuales torrenciales" en Baja California Sur, donde las ciudades turísticas de Los Cabos y La Paz serán las más afectadas.

También ha pronosticado "lluvias puntuales muy fuertes" en Sinaloa y Nayarit, también en la costa del Pacífico, además de "lluvias puntuales fuertes" en Jalisco.

En Baja California Sur habrá rachas de viento de 120 a 140 kilómetros por hora con oleaje de cinco a siete metros de altura.

Mientras que en Sinaloa se esperan rachas de viento de 60 a 80 kilómetros por hora con olas de tres a cinco metros.

Hasta el momento, en el océano Pacífico se han formado los ciclones Andrés, Blanca, Carlos, Dolores, Enrique, Felicia, Guillermo, Hilda, Ignacio, Jimena, Kevin, Linda, Marty, Nora y Olaf.

Todavía se espera que se generen cinco ciclones tropicales en el Pacífico, mientras que en el Atlántico aún se prevén siete, detalló la coordinadora del SMN.

"El mes de septiembre es (históricamente) el de mayor cantidad de ciclones que han impactado a México durante 50 años. Tenemos cifras que son 99 ciclones los que han afectado en el mes de septiembre de los últimos 50 años", destacó.